CONTOH HASIL UKUR DARI JASA UKUR TANAH

Proland

Ukur Lahan untuk Lokasi Bangunan Pergudangan di Cibinong Bogor


Pengukuran Tanah dan Desain Siteplan Pesantren di Ciampea Bogor
Pengukuran Tanah dan Desain Siteplan Pesantren di Caringin Bogor
Pengukuran Siteplan Area Parkir Rumah Air Taman Buah Mekarsari
Pengukuran Level dan Luas Tanah di Pakuhaji Teluknaga Untuk Perhitungan Volume dan Ketinggian Urugan
Contoh ukur di Tanah Kalisari Jakarta untuk bagi waris sertifikat
Pengukuran siteplan tanah dan level untuk rencana perluasan workshop di cibinong
Pengukuran siteplan tanah dan level untuk rencana perluasan workshop di cibinong
Ukur dan pematokan tanah untuk pecah sebagian sertifikat terkait jual beli tanah di Ragunan Jaksel
Ukur dan pematokan tanah untuk pecah sebagian sertifikat terkait jual beli tanah di Ragunan Jaksel
Ukur siteplan dan level tanah area masjid al muhajirin Bekasi
Ukur siteplan dan level tanah area masjid al muhajirin Bekasi
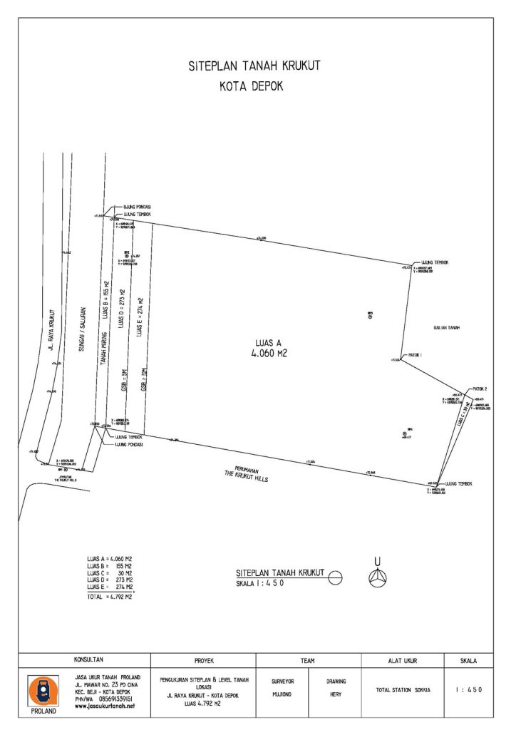
Ukur siteplan dan level tanah di Krukut Limo Depok untuk rencana cluster perumahan
Ukur siteplan dan level tanah di Krukut Limo Depok untuk rencana cluster perumahan
Pengukuran tanah meliputi siteplan dan level untuk cluster perumahan di Jatiasih Bekasi
Pengukuran tanah meliputi siteplan dan level untuk cluster perumahan di Jatiasih Bekasi
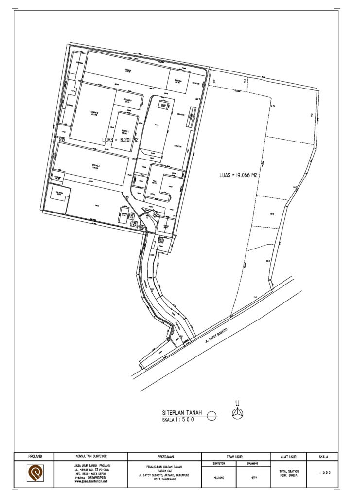
Ukur Tanah Pabrik Bahan Bangunan di Jl Gatot Subroto, Jatake Tangerang
Ukur Siteplan Tanah Perumahan di Bedahan Depok
Ukur Tanah Rencana Jalan Tol Cipayung Depok
Ukur Siteplan Tanah untuk Cluster Perumahan di Bedahan Depok
Pengukuran Level Tanah Jl Pajajaran Bogor
Pengukuran Section Tanah Jl Pajajaran Kota Bogor
Pengukuran Tanah dan Desain Siteplan Perumahan Tanah Jatiwarna Bekasi
Siteplan Tanah Perumahan Minicluster di Jatiwarna Bekasi
Pengukuran Lahan Area Parkir Taman Buah Mekarsari Cibubur